
Uragan Irma trenutno dosta brzo prolazi sjevernom stranom otoka
Kube. Tijekom sljedećih desetak sati doći će pred Havanu, a zatim
će naglo zaokrenuti na sjever direktno na poluotok Floridu.
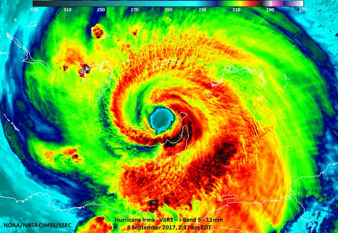
NASA objavila nove snimke uragana iz svemira
Our @NASAEarth-observing
satellites continue to provide forecasters w/ the
latest imagery & data on
Hurricane #Irma: http://go.nasa.gov/2eTz3Q6
nisu, pune se velikom brzinom.
Zemlju pogodio najjači uragan u zadnjih 85 godina: Irma na
Kubi demonstrira svu svoju snagu
HAVANA – Uragan Irma “teško je pogodio”
središnju Kubu naletima vjetra koji dosežu 260 kilometara na
sat, objavili su kubanski mediji u noći na subotu.
Uragan, prvi te snage na Kubi od 1932., teško je pogodio
pokrajine Camaguey i Ciego de Avila, u središtu zemlje,
objavila je meteorološka služba.
No zbog njegove veličine, posljedice se osjećaju od pokrajine
Las Tunas na istoku zemlje do Ville Clare na zapadu,
udaljenima gotovo 400 kilometara, rekao je
meteorolog Elier Pila.
U cijeloj zemlji iz opreza je evakuirano više od milijun
ljudi, objavile su vlasti.
U 7 sati GMT oko uragana kretalo se u smjeru zapada brzinom
od 19 kilometara na sat duž sjeverne obale Kube.
Dva milijuna stanovnika Havane uragan bi trebao zahvatiti
tijekom dana.
Oscilirajući između najsnažnijih kategorija 4 i 5, uragan bi
se trebao nastaviti kretati duž kubanske obale i potom u
subotu navečer skrenuti sjeverozapadno prema Floridi gdje ga
se očekuje u nedjelju poslijepodne.
Uragan je na Karibima usmrtio najmanje 19 ljudi.
Guverner Floride stanovnicima poslao dramatičnu poruku i
pozvao ih da napuste domove
Guverner Rick Scott poslao je
dramatičnu poruku stanovnicima Floride i pozvao ih da napuste
domove.
“Oluja je ovdje”, rekao je Scott i poručio kako neće
preživjeti poplavu koju će Irma prouzročiti.
Dosad je već 25 tisuća ljudi ostalo bez struje na jugu
Floride. Vjetar je sve jači i u Miamiju, javlja Guardian.
Na jugu Floride više od 7,100 kućanstava ostalo je bez
struje, javlja CNN.
‘Stanje na Floridi se pogoršava’
Amerikanac Drew Funkhouser, koji živi
kod slavnog Miami Beacha, objavio je na svom Instagramu
kratki video snimljen s prozora trećeg kata zgrade u kojoj
živi. CNN-u je rekao kako je njegova zgrada solidna, te kako
je dovoljno visoko da preživi plimni val koji se očekuje s
dolaskom uragana Irma. No, stanje se pogoršava, rekao je
Funkhouser
Približava se katastrofalna oluja: zbog Irme naređena
evakuacija 5,6 milijuna ljudi na Floridi
MIAMI – Američke vlasti pozvale su na
evakuaciju 5,6 milijuna ljudi
na Floridikojoj se
približava uragan Irma, koji je ponovno
dosegao najvišu, 5. kategoriju, objavile su nadležne
službe.Naredba o evakuaciji obuhvaća 5,6 milijuna ljudi,
objavila je uprava za krizna stanja, što je oko 25 posto
stanovnika te američke savezne države.
AP
Ranije je naredba o evakuaciji izdana za oko milijun
stanovnika Floride, a stotine tisuća vozača guralo se u petak
na dvije autoceste na tom poluotoku.
“To je katastrofalna oluja, takva kakvu ova država nikada
ranije nije doživjela”, rekao je u petak guverner
Floride Rick Scott.
AP
Guverner Floride je pozvao sve na otočju Florida Keys koje će
biti prvo na udaru, da napuste svoje domove.
Irma bi trebala doći do Floride u nedjelju ujutro preko
otočja Florida Keys, prije nego pogodi Miami s vjetrom jačine
240 km/h. Potom slijede Georgia i Južna Karolina.
AP
Lokalne vlasti upozorile su da “nijedno mjesto neće biti
sigurno” u arhipelagu Florida Keys, omiljenoj
turističkoj destinaciji na jugu Floride.


NASA 